Barbara E. Mundy - El Códice mendocino - nuevas perspectivas

Здесь есть возможность читать онлайн «Barbara E. Mundy - El Códice mendocino - nuevas perspectivas» — ознакомительный отрывок электронной книги совершенно бесплатно, а после прочтения отрывка купить полную версию. В некоторых случаях можно слушать аудио, скачать через торрент в формате fb2 и присутствует краткое содержание. Жанр: unrecognised, на английском языке. Описание произведения, (предисловие) а так же отзывы посетителей доступны на портале библиотеки ЛибКат.

El Códice mendocino: nuevas perspectivas: краткое содержание, описание и аннотация

Предлагаем к чтению аннотацию, описание, краткое содержание или предисловие (зависит от того, что написал сам автор книги «El Códice mendocino: nuevas perspectivas»). Если вы не нашли необходимую информацию о книге — напишите в комментариях, мы постараемся отыскать её.

Conceptualizado como una contribución a la continua construcción de la identidad del Códice mendocino, el presente volumen está organizado en torno a tres ejes: el análisis material, la interpretación textual y estilística, y la recepción y transmisión del manuscrito. Los estudios de Barker Benfield y MOLAB abren una ventana hacia el entendimiento objetivo de la materialidad del manuscrito. El proceso de conservación y reencuadernamiento del Mendocino registrado por Barker Benfield ha disipado especulaciones en cuanto al método de construcción del manuscrito y sus posibles encuadernaciones previas, permitiendo que conexiones antes aceptadas, como la autoría de Francisco Gualpuyogualcal, sean reexaminadas. Asimismo, el análisis llevado a cabo por el equipo de MOLAB —liderado por Davide Domenici— ha sacado del ámbito de la especulación la naturaleza de los pigmentos del manuscrito, así como ha permitido que hipótesis interpretativas —previamente articuladas al respecto del significado de pigmentos específicos y lo estricto de su aplicación en el tlacuilolli— sean refinadas y contenidas. Si bien el color tiene significado para el tlacuilo, este no está directa y necesariamente ligado a su materialidad. A partir de estas observaciones se puede desarrollar una nueva generación de estudios interpretativos cuyas propuestas se basen en datos cada vez más certeros acerca de la naturaleza material del Mendocino.
Los estudios interpretativos del manuscrito que ocupan el presente volumen representan una línea de investigación que, al considerar al manuscrito desde la perspectiva compleja de la obra de arte, bibliográfica y literaria, complementa las lecturas antropológicas e históricas que se han hecho del Mendocino en estudios anteriores. Así, los ensayos de Diana Magaloni, Daniela Bleichmar y Jorge Gómez Tejada, editor del libro, reconsideran el número y estilo de los artistas que crearon el manuscrito para entender tanto el proceso de creación del mismo como el lugar que este ocupa en el contexto artístico del virreinato temprano. Las decisiones que estos artistas e intelectuales toman en el Mendocino, lejos de insertarse en una relación binaria dominante-dominado, se presentan como una manifestación de los modos de pensar y ver el espacio y el tiempo en el mundo mesoamericano. Las pinturas del Mendocino —ejecutadas a manera de taller en donde uno, dos o más individuos intervienen en una misma página para crear de manera sincronizada una sola composición, tal como demuestra quien escribe— toman visos de ritualidad y funcionan como «instrumento para re-crear, reactualizar y hacer coherente el devenir histórico ligado al territorio y los patrones cósmicos» (ver Capítulo 4). Esta última observación complementa y refuerza la lectura de la tercera sección del manuscrito propuesta por Joanne Harwood, para quien, independientemente de lo original de las soluciones visuales utilizadas para componer esta sección del manuscrito, su modelo prehispánico se encuentra en un género de resonancia religiosa mesoamericana: el teoamoxtli.

El Códice mendocino: nuevas perspectivas — читать онлайн ознакомительный отрывок

Ниже представлен текст книги, разбитый по страницам. Система сохранения места последней прочитанной страницы, позволяет с удобством читать онлайн бесплатно книгу «El Códice mendocino: nuevas perspectivas», без необходимости каждый раз заново искать на чём Вы остановились. Поставьте закладку, и сможете в любой момент перейти на страницу, на которой закончили чтение.

Тёмная тема
Сбросить

Интервал:

Закладка:

Сделать

(Oxford, Biblioteca Bodleiana,

MS. Arch. Selden. A. 1)

B C BarkerBenfield Biblioteca Bodleiana University of Oxford Introducción - фото 11

B. C. Barker-Benfield Biblioteca Bodleiana, University of Oxford

Introducción

El propósito de este capítulo es enriquecer el estudio del Códice mendocino al presentar el siguiente reporte sobre reparaciones, marcas de agua y compaginación, compuesto entre 1985 y 1999 y que hasta ahora no había sido publicado. Este reporte no pretende brindar una detallada descripción física del manuscrito sino más bien recopilar varias observaciones realizadas antes, durante y después de las reparaciones de 1985-86 respecto a la naturaleza física del volumen manuscrito completo MS. Arch. Selden. A. 1, particularmente, respecto al papel y a su compaginación-estructura, y registrar los cambios estructurales menores que se realizaron entonces.

La preocupación por la integridad física del manuscrito durante 1985-86 fue impulsada por la propuesta de realizar una nueva edición facsimilar, proyecto planteado en primera instancia por la University of New Mexico Press en 1985. El 2 de octubre de 1985 se firmó un contrato para el facsímil; y en octubre-noviembre de 1985, el estudio fotográfico de la Biblioteca Bodleiana preparó el conjunto principal de diapositivas (es posible que el conjunto haya incorporado algunas diapositivas anteriores que estaban almacenadas). En 1986, la University of New Mexico Press decidió retirarse del proyecto, pero el acuerdo fue posteriormente asignado (el 21 de julio de 1989) a la University of California Press, que finalmente publicó el facsímil de manera que coincidiera con la celebración del V Centenario de la llegada de Colón a América, en 1992 bajo los editores Frances E. Berdan y Patricia Rieff Anawalt. Con este propósito, lo importante a destacar es que las placas del facsímil de 1992 fueron derivadas de las diapositivas que preceden a casi todas las reparaciones de 1985-86.

Este ensayo se enfoca en cuatro áreas principales: las reparaciones de 1985-86; las marcas de agua identificadas en el cuerpo del Mendocino, así como en las guardas inferiores y las tablas monetarias que, aunque no están incluidas en este facsímil, forman parte de la segunda parte del MS. Arch. Selden. A. 1; los sistemas de numeración, firmas de cuadernillo, foliación y compaginación del manuscrito; y una reconstrucción de la historia de su encuadernación. La sección sobre marcas de agua fue elaborada por quien escribe en 1990 para acompañar su selección de radiografías beta, tal como fueron reproducidas en el facsímil de 1992 (Berdan y Anawalt 1992, 1: 20-23) y que fueron reimpresas en este volumen con algunas modificaciones. Las notas de compaginación y los gráficos a continuación se elaboraron directamente, a partir del manuscrito y de forma independiente del material y el gráfico publicados en el facsímil (1:13-20, esp. Figura 9) por Wayne Ruwet; quien examinó el manuscrito en 1971. Sin embargo, en 1985 Wayne Ruwet y quien escribe intercambiaron comunicaciones sobre algunos aspectos de la encuadernación, las marcas de agua y las hojas de guarda. Observaciones más extensas respecto de las implicaciones de los arreglos, las marcas de agua y la compaginación del Códice mendocino fueron hechas por el editor de este volumen, quien trató la producción y circulación de este documento en su tesis doctoral (Gómez Tejada 2012) y que forman parte de la discusión sobre materialidad en este volumen.

Las reparaciones de 1985-86

En julio de 1985 se realizó un breve estudio de las condiciones del códice, en el cual se indicó que muchos de los bordes estaban gravemente desgastados y que para entonces los folios 71-72 finalmente se habían desprendido. Los folios que necesitaban reparación eran los siguientes: 1, 2, 7, 13, 41, 47, 51, 55, 62, 67, 68, 70, 71; entre estos, los folios 1 (desgarrado, con antiguas reparaciones que causaron un daño mayor), 67 y 70 (con una pequeña pieza en peligro de desprendimiento) necesitaban atención urgente. En consecuencia, entre el 11 y el 18 de julio de 1985, Linda Sutherland, del taller de conservación de la Biblioteca Bodleiana, realizó reparaciones inmediatas, pero en esta primera ocasión solo en los folios 67 (borde delantero central, extremo del río en recto) y 70 (borde de escritura en recto en el borde delantero inferior). Las reparaciones se realizaron con tejidos mínimos (japonés, tengujo) y pegamento seco (almidón de trigo y de papa).

En 1986 se llevó a cabo un programa más extenso de reparación de papel a cargo de Nancy Bell, del taller de conservación de la Biblioteca Bodleiana, en consulta con Christopher Clarkson y Bruce Barker-Benfield. Las reparaciones se mantuvieron al mínimo deliberadamente: no se desencuadernó el volumen y se mantuvo su costura intacta. La mayor parte del trabajo consistía en reforzar los bordes deshilachados con tejido. Sin embargo, el primer y el último cuadernillo del Códice mendocino (parte 1) requirieron una intervención más profunda, inicialmente para contrarrestar el daño causado por las reparaciones anteriores y por las lengüetas, y, finalmente, para reincorporar los folios 71-72. Christopher Clarkson participó de manera activa en estas reparaciones.

Marcas de agua

Parte 1 (folios 1-71). Códice mendocino

El bloque de texto original del Códice mendocino está hecho con un papel que contiene seis patrones de marca de agua, algunos de los cuales se pueden subdividir en sus moldes dobles.

Cuatro de los seis patrones (A-D) muestran un mismo diseño general que Briquet (1968) clasifica bajo el título Homme (Hombre) y el subtítulo Pélerin (Peregrino) (números 7567-7603). Además de las diferencias en la parte inferior, los peregrinos muestran diseños similares, cada uno con su sombrero de ala ancha, su barbilla puntiaguda y su bastón de apoyo. Los ejemplos de Briquet son en su mayoría italianos, pero Valls i Subirà (1980, 2:163–65, 232–35, n.o 212–227) proporciona una serie de ejemplos españoles desde 1500 hasta 1597. Resulta ser que los ejemplos no españoles de documentos sobre peregrinos reproducidos por Briquet proporcionan los paralelos más cercanos a las marcas de agua del Códice mendocino, pero ninguno de estos es idéntico y los documentos son, sin duda, de origen español.

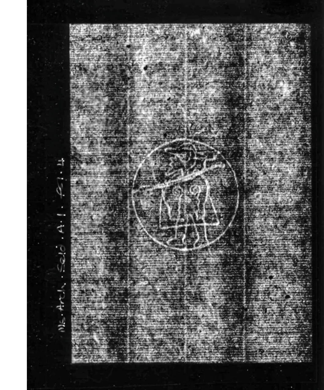
Patrón A: Peregrino

Peregrino mirando a la izquierda (visto desde el lado de la trama), en un círculo; debajo, dos (?) letras mayúsculas de las cuales la primera es “B” y la segunda es ilegible. El paralelo más cercano en los dos repertorios es Briquet 7586 (Provenza 1568), donde las letras son “B F”, pero no es muy similar.

Figura 1. Espécimen: folio 2 solamente (betaradiografía)

Patrón B Peregrino Peregrino mirando a la izquierda visto desde el lado de la - фото 12

Patrón B: Peregrino

Peregrino mirando a la izquierda (visto desde el lado de la trama), en un círculo, sin letras u otros diseños adicionales fuera del círculo. No hay resultados en Valls i Subirà; bastante similar, pero de ninguna manera idéntico a Briquet 7570 (Milán 1567).

Figura 2. Especímenes (no hay una división clara en moldes dobles): folios 4 (betaradiografía), 8, 19

Patrón C Peregrino Peregrino mirando a la izquierda visto desde el lado de la - фото 13

Patrón C: Peregrino

Peregrino mirando a la izquierda (visto desde el lado de la trama), en un círculo; debajo, tres letras, “A M F”. El único ejemplo comparable en los dos repertorios es Briquet 7582 (Milán 1570), con “A M F”: concuerdan bastante bien, pero no son idénticos.

Читать дальше
Тёмная тема
Сбросить

Интервал:

Закладка:

Сделать

Похожие книги на «El Códice mendocino: nuevas perspectivas»

Представляем Вашему вниманию похожие книги на «El Códice mendocino: nuevas perspectivas» списком для выбора. Мы отобрали схожую по названию и смыслу литературу в надежде предоставить читателям больше вариантов отыскать новые, интересные, ещё непрочитанные произведения.


Отзывы о книге «El Códice mendocino: nuevas perspectivas»

Обсуждение, отзывы о книге «El Códice mendocino: nuevas perspectivas» и просто собственные мнения читателей. Оставьте ваши комментарии, напишите, что Вы думаете о произведении, его смысле или главных героях. Укажите что конкретно понравилось, а что нет, и почему Вы так считаете.